Did you know that flying your drone in restricted airspace could land you a hefty fine from the Federal Aviation Administration (FAA)?
And if you’re near an airport, there’s a good chance you’re in Class C Airspace. It is one of the most controlled airspaces in the U.S.
This means you can’t just take off and fly wherever you want. Even a small mistake can lead to an airspace violation, and that’s the last thing you would ever want.
That’s why understanding airspace rules is so important.
In this article, we’ll break down what Class C Airspace is, why it matters, and exactly how to get permission to fly legally.
Let’s begin by understanding the Class C airspace.
What is Class C Airspace?
Class C Airspace or Charlie Airspace is a controlled airspace around medium-sized airports with moderate to high air traffic.
These airports typically operate commercial and domestic flights, private jets, and charters. While they are busy, they are not as crowded as the major international airports.
The main goal of Class C Airspace is to keep air traffic organized and safe. It ensures that manned aircraft, like private jets and commercial airlines, follow structured routes.
Think of it like a highway interchange near a big city. The more vehicles merging in and out, the more you need clear and structured lanes and traffic rules.
The same logic applies here, it helps manage flights and reduces the risk of collisions.
Unlike uncontrolled airspace, where pilots are free to fly under basic FAA rules, Class C Airspace requires coordination.
That’s why, Air Traffic Control (ATC) actively manages this airspace, communicating with pilots to ensure safe separation between aircraft.
As a drone pilot, you won’t communicate directly with ATC, but you still need permission from the FAA before entering into Class C Airspace.
Now that you know what Class C Airspace is and why it exists, let’s see how it compares to other types of controlled airspace.
How Class C Differs from Class B and D Airspace
When you look at an airspace map, you’ll notice Class B, Class C, and Class D Airspace surrounding different airports.
Each of these comes with its own rules, and knowing the differences can help you avoid violations.
Class C Airspace falls somewhere between Class B and Class D. It’s more regulated than Class D but less restrictive than Class B.
It surrounds medium-sized airports with steady commercial traffic but without the high volume of major international hubs.
Think of these airspaces like different levels of traffic control at intersections:
- Class B is like a massive highway interchange—high-speed traffic, complex lanes, and strict controls.
- Class C is like a busy city intersection—lots of movement, but with structured traffic lights.
- Class D is like a suburban four-way stop—less traffic, but still some rules to follow.
Here’s a table to help you get more clarity:
| Airspace Type | Who Uses It? | Size & Structure | Drone Rules |
| Class B | Large commercial airports | Huge, multi-layered (up to 10,000’ AGL) | Strictest rules, special FAA approval needed |
| Class C | Medium-sized airports with commercial flights | Two-tier system extends up to 4,000’ AGL | FAA approval required via LAANC or DroneZone |
| Class D | Small airports with control towers | Single-tier, up to 2,500’ AGL | FAA approval often easier to get via LAANC |
Next, let’s take a closer look at how Class C Airspace is structured.
Structure of Class C Airspace
Class C has a layered, upside-down wedding cake structure designed to keep air traffic organized and separated.
Think of it like a two-story building, where each floor has its own access rules.
The lower level is closer to the airport and has stricter rules, while the upper level offers more flexibility for aircraft.
The Two-Tier System
The Class C Airspace tiers are named as:
1. The Inner Core (5 Nautical Mile Radius)
The inner core area starts from the surface (ground level) up to 4,000 feet above ground level (AGL) and has a radius of 5 nautical miles (NM).
This area is the most controlled because it’s where planes are taking off and landing.
2. Outer Shelf (10 Nautical Mile Radius)
This shelf extends from 5 to 10 nautical miles away from the airport. Unlike the inner core, this airspace doesn’t start at ground level.
It typically begins around 1,200 feet AGL and extends up to 4,000 feet AGL.
These layers ensure that manned aircraft and drones stay in their designated zones, reducing the risk of accidents.
Altitude Limits for Class C Airspace
While Class C Airspace extends up to 4,000 feet AGL, this won’t directly impact you as a drone pilot.
That’s because the FAA’s Part 107 rules limit drones to 400 feet or lower, keeping them well below manned aircraft.
However, even if you’re flying at just 50 or 100 feet, you still need FAA approval to operate in Class C Airspace.
The height of the airspace doesn’t change its requirement, you must always get permission before flying.
Now that you understand how Class C Airspace is structured, let’s look at how you can identify it on a map.
How to Identify Class C Airspace
Before you take off near an airport, it’s crucial to identify whether you’re flying in Class C Airspace. This helps you stay compliant with FAA regulations and avoid costly violations. There are two primary ways to identify this airspace: sectional charts and digital tools.
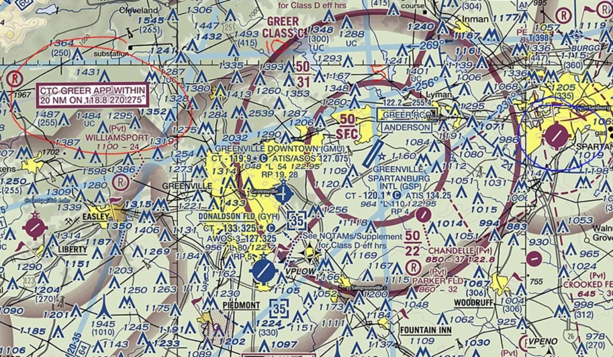
1. Sectional Chart Depictions
If you’ve ever looked at an aviation sectional chart, you’ve probably noticed circles and lines in different colors.
Class C Airspace is marked by a solid magenta line, which creates a two-tiered ring around the airport it protects.
Here’s how to read it:
The Solid Magenta outlines the boundaries of Class C Airspace. The inner circle represents the 5-nautical mile core, and the outer ring extends to 10 nautical miles.
Inside this magenta boundary, you’ll also see stacked numbers that indicate altitude limits. For example, if you see 40/12:
- The top number (40) means the airspace extends up to 4,000 feet above ground level (AGL).
- The bottom number (12) indicates that the outer shelf starts at 1,200 feet AGL.
2. Digital Airspace Tools to Spot Class C Airspace
If reading sectional charts seems complicated, there are plenty of digital airspace tools that make this process easier, especially for drone pilots.
The FAA’s B4UFLY app is a simple way to check if you’re in controlled airspace. Just enter your location, and it will quickly tell you whether you need FAA approval.
For more advanced features, apps like Aloft and AirMap not only help you identify Class C Airspace but also allow you to request FAA approval instantly through the Low Altitude Authorization and Notification Capability (LAANC) system.
If you prefer a visual representation similar to sectional charts but more user-friendly, SkyVector is a great tool. It displays airspace maps in an interactive format that’s easy to navigate.
Now let’s take a look at how you can legally fly your drone in this airspace.
Requirements for Flying in Class C Airspace
If you’re flying a drone in Class C Airspace, you must get FAA authorization.
The FAA has two main systems for drone pilots to request approval:
1. Use LAANC For Fastest Online Approvals
If your drone flight stays within the FAA’s approved altitude limits (typically 400 feet AGL or lower), you can use LAANC to get instant authorization in most Class C Airspace areas.
LAANC is also accessible through apps like Aloft, Airmap, and Skyward.
Here’s how to do it step by step:
- Open any LAANC-enabled apps
- Enter your flight location to check if you’re in Class C Airspace.
- Select your flight altitude and duration (typically capped at 400 feet AGL or lower).
- Submit the request. If your flight follows FAA rules, you’ll get instant approval.
- Review your authorization details and keep them handy in case of an FAA inspection.
2. For Manual Approvals, Use DroneZone
If your drone flight falls outside LAANC’s automatic approval limits, you’ll need to request for a manual FAA approval.
Here’s how you can request approval through DroneZone:
- Go to the FAA’s DroneZone website.
- Log in or create an account if you don’t have one.
- Submit an airspace authorization request with details about your planned flight.
- Wait for FAA approval—this process can take days to weeks, so plan ahead.
This process typically takes a few days to several weeks, so it’s best to apply well in advance.
3. Why Visibility & Cloud Clearance Matter in Class C Airspace
Imagine you’re flying your drone in Class C Airspace while a commercial flight is approaching for landing.
If the visibility is poor, the pilot may not see your drone before it gets too late.
To prevent this, the FAA requires drone pilots to maintain at least three statute miles of visibility when flying in Class C Airspace.
This means that from your takeoff location, you should be able to see at least three miles ahead in every direction.
This is important because if visibility drops below three miles, the risk of a collision increases significantly.
4. Is Radio Equipment Required for Class C Airspace?
For manned aircraft pilots, Class C Airspace has strict radio equipment requirements to ensure that planes stay in contact with ATC.
The minimum radio equipment required includes:
- Two-Way Radio Communication: To establish communication
- Mode C Transponder: For real-time aircraft position and altitude data
- ADS-B Out (Automatic Dependent Surveillance–Broadcast): Required in some areas for real time tracking.
So why should drone pilots even care about this?
Even though drones don’t need radios or transponders, knowing how manned aircraft operate in Class C Airspace can help you predict their movements in the sky.
Understanding aviation communication can help you anticipate where planes are moving and make safer flight decisions.
Conclusion
Controlled airspace exists for one simple reason: to keep the skies safe and organized.
By now, you know how to identify Class C Airspace, get FAA authorization, follow altitude limits, and anticipate manned aircraft movement.
You’re well on your way to becoming a more responsible and skilled drone pilot.
But knowing the rules is just the beginning. To truly master drone flying, you need hands-on experience, the right tools, and continuous learning.
That’s why we recommend DroneU’s Drone Flying Starter Kit—a must-have for beginners who want to build confidence, improve their flight skills, and learn essential best practices for safe and legal drone operations.
Don’t just fly for fun, fly with confidence!
FAQs
1. Do you need permission to enter Class C Airspace?
Since this is controlled airspace, whether flying recreationally or commercially—you must get FAA authorization before flying a drone in Class C Airspace.
The easiest way to get approval is through LAANC (Low Altitude Authorization and Notification Capability), which provides instant authorization for flights within FAA-approved altitude limits.
If LAANC isn’t available or you need to fly above the approved altitude, you must request manual approval via FAA DroneZone, which can take longer to get approved.
2. Who do you contact to enter Class C Airspace?
Drone pilots don’t contact Air Traffic Control (ATC) directly. Instead, all approvals for flying in Class C Airspace go through the FAA’s online systems.
3. Can I fly my drone in Class C Airspace?
Yes, you can fly your drone in Class C Airspace, but only with FAA approval. Without proper authorization, flying here is illegal and can result in fines or penalties.



Add Your Comment